Lucrare practica numarul 10
Nucleul
Nucleul este structura cea mai specializata a celulei, care asigura ereditatea si coordoneaza majoritatea reactiilor de sinteza conform specificitatii biologice a celulei.
Este un corp veziculos īn general, cu forma sferica sau ovoida, bine circumscris, cuprins īn masa citoplasmatica a celulei. Dintre substantele care intra īn constitutia sa cea mai caracteristica este cromatina, puternic bazofila.
Forma nucleilor:
Īn mod obisnuit, forma nucleului este a celulei din care face parte:
- turtit, īn celulele endoteliale, (figura 1a);
- sferic īn celulele sferice (ovocite), cubice (īn celulele ce formeaza endoteliul cailor biliare), (figura 1b);
- ovalar īn celulele piramidale sau prismatice, (figura 1c);
- bastonas sau fuziform īn celulele musculare striate;
- polilobat īn leucocitele mature.

a. b.
c
Figura a,b,c, Forme nucleare, col HE
Conturul nucleilor
- neregulat īn celulele secretorii : foliculi tiroidieni, fibra musculara;
- regulat: epiteliul cubic, epiteliul prismatic
Pozitia nucleului īn celula
Īn general pozitia sa este centrala, dar poate fi modificata de anumiti factori cum ar fi acumularea de substante de rezerva (adipocite), sau de granule de secretie celule secretorii).
Dimensiunile nucleului
Variaza de la un tip de celula la alta īn functie de specie si vārsta, iar la aceeasi celula īn functie de fazele ciclului celular. In celulele umane, dimensiunile nucleilor sunt cuprinse īntre 3-25 microni. In general, nucleul reprezinta 1/3-1/4 din volumul celulei, cu exceptia limfocitului unde nucleul depaseste cu mult aceasta proportie.
Numarul nucleilor īn celula
- celule anucleate secundar ex.: hematiile;
- uninucleate - sunt marea majoritate a celulelor, (figura 2a);
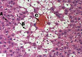
-binuc1eate - celule cu activitate metabolica intensa ex.: hepatocitele, unii neuroni din ganglionii simpatici, (figura 2b) ;
-multinucleate - sincitiul - provine prin fuzionarea mai multor celule mononucleate īntr-o celula unica: osteoclastul (figura 2d);
-plasmodiul - provine dintr-o celula initial mononucleata ce a suferit multiple diviziuni ale nucleului, dar fara citodiereza (diviziunea citoplasmei): fibra musculara striata (figura 2c).

a. b.

c. d
Figura a.Celule uninucleate, b. binucleate, c. plasmodiu si d. sincitiu
Figura
Membrana nucleara
- īn microscopia optica, are aspectul unei linii fine care separa continutul nucleului de cel citoplasmatic.
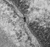
- īn microscopia electronica, īnvelisul nuclear este constituit din doua membrane trilaminate separate printr-un spatiu clar - cisterna sau spatiul perinuclear, cu o grosime de 10-15 nm. Membrana externa se continua cu membranele reticulului endoplasmatic granular, iar pe fata citoplasmatica are atasati ribozomi. Din loc īn loc, anvelopa nucleara este strabatuta de canale - porii nucleari - prin care se realizeaza pasajul macromolecular, (figurile 5 ).

Figura Membrana nucleara Figura 6. Por nuclear, ME Figura 7. Structura anvelopei nucleare, schema
2. Cromatina se prezinta sub forma unor granule; este dispusa sub doua aspecte:
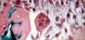
a. condensata īn formatiuni intens colorate, de forma si dimensiuni variabile, numiti cromocentri, a caror totalitate formeaza heterocromatina, (figura 8).
Utilizānd coloranti specifici din heterocromatina se delimiteaza:
-cromatina sexuala X care reprezinta un cromozom X intens heterocromatinizat īn celulele somatice care au doi cromozomi X;
-cromatina sexuala Y, care reprezinta 2/3 distale din bratul lung al cromozomului Y.
b. eucromatina, formata din granule de cromatina fin dispersata si ca urmare slab colorate cu coloranti specifici (figura 9).

Figura 8. Eucromatina, HE Figura 9. Heterocromatina, HE
Cromatina este alcatuita din punct de vedere chimic din ADN īn cantitate mare, care se va evidentia prin colorare cu colorant Fulgen specific pentru ADN (coloreaza ADN-ul īn rosu violet).
3. Nucleolii sunt de forma sferica; contin o cantitate mare de ARN. Evidentierea celor doi acizi nucleici sa face cu verde de metil pironina (verdele are afinitate pentru ADN colorāndu-l īn verde, pironina are afinitate pentru ARN colorāndu-l īn rosu).
4. Sucul nuclear are aspect omogen, reprezentānd continutul nucleului, īn care se gasesc cromatina si nucleolii.
Activitate practica
Colorarea nucleilor celulelor
Scopul lucrarii:
Evidentierea materialului genetic din nucleul celulelor eucariote prin coloratia verde metil acetic.
Materiale necesare:
-o ceapa
-bisturiu sau lame ascutite
-pense fine, atraumatice
-lame portobiect degresate, lamele
Protocol
Figura 10. Rezultatele colorarii nucleului si nucleolului cu verde metil acetic
|