Documente online.
Zona de administrare documente. Fisierele tale
Am uitat parola x Creaza cont nou
 HomeExploreaza
upload
Upload




CAZURI – medicina veterinara

medicina


CAZURI – medicina veterinara



Istoricul bolii

Câine, mascul, rasa Pekinez, vârsta 1 an, 6 kg.

La ochiul stâng a aparut de o saptamâna o formatiune roz-rosietica care uneori se micsoreaza, dupa care revine. Aceasta formatiune pare sa îl deranjeze sa se orienteze vizual, iar uneori încearca sa se scarpine la ochi cu laba unui picior anterior.

A urmat un tratament cu unguent oftalmic (kanamicina si hidrocortizon) timp în care formatiunea s-a micsorat foarte mult în volum, dar dupa încetarea tratamentului a reaparut.


Examen clinic




Diagnostic

Câine, Rotweiller, mascul, 29 kg, vârsta de 8 luni.

De cca. o saptamâna manânca cu dificultate si, desi are apetit bun, la prehensiune sau la masticatia alimentelor are momente când acuza durere. Dintii de pe maxilar nu par aliniati.


Examen clinic


Întrebari suplimentare:

Istoricul bolii

Câine, Doberman, mascul, 29 kg, vârsta de 8 ani.

De cca. o luna urineaza cu dificultate si uneori cu sânge. Animalul defeca greu cu

tenesme. Urinarea si defecarea sunt dureroase.

Nu exista antecedente traumatice.

Animalul a fost tratat cu antibiotice timp de 7 zile fara a disparea simptomele.


Examen clinic

Temperatura 39,7oC, frecventa cardiaca 115, frecventa respiratorie 26

Hematurie intermitenta în picatura. Preputul este murdarit de sânge.

La palpatia abdomeno-pelvina animalul prezinta uneori durere de intensitate medie, inconstanta. Se sesizeaza o vezica urinara destinsa. Nu este posibila drenarea pasiva (prin comprimarea vezicii) a urinei.

Penisul nu prezinta leziuni vizibile.


Întrebari sau cerinte suplimentare:

1) În hipertrofia benigna a prostatei – castrare (orhidectomie) (cartea de Tehnici chirurgicale, pag. 298)

2) În prostatita – antibioterapie pe baza antibiogramei


3) În adenomul de prostata

peritoneul – surjet simplu cu material resorbabil

muschiul transvers al abdomenului si aponevroza profunda a m. oblic intern în surjet sau puncte separate simple cu material resorbabil

aponevroza superficiala a m. oblic intern si aponevroza m. oblic extern în surjet simplu sau puncte separate simple cu material resorbabil

tesutul conjunctiv subcutanat în surjet endoversat cu material resorbabil

pielea – puncte separate simple cu material neresorbabil

cateterul uretro-vezical este mentinut 4-5 zile post operator


CAZUL nr. 14


Istoricul bolii

Cabalina, rasa Autohtona, mascul, 55 kg, vârsta de 7 zile.

Mânz normal la nastere, dar treptat devine letargic, suge tot mai rar, se deplaseaza tot mai putin.

Zona ombilicului este tot timpul umeda.

Defeca si urineaza normal.

Nu exista antecedente traumatice.


Examen clinic

Temperatura 39,8oC, frecventa cardiaca 85, frecventa respiratorie 56

Zona ombilicului este umeda, cu miros de urina. Uneori se observa picaturi de lichid galbui care picura din bontul ombilical. Penisul nu prezinta leziuni vizibile.


Întrebari si cerinte suplimentare:

uretra este functionala? (adica se produce mictiunea) – în acest caz este functionala

examen radiologic cu contrast pozitiv (cu substanta de contrast) al vezicii urinare


Radiografie cu contrast pozitiv


Diagnostic:

celiotomie mediana

explorarea cavitatii abdominale, localizarea corpilor straini, exteriorizarea segmentelor intestinale în cauza si aplicarea penselor de baraj

enterotomie pentru extragerea corpilor straini (longitudinala, pe marginea antimezenterica sau transversala) si apoi sutura monoplan a plagii în surjet endoversat – Cushing sau Connell)

verificarea vitalitatii segmentului afectat (cu cristale de clorura de sodiu sau prin infectare de fluoresceina în vasele mezenterice) – daca este devitalizat, se recurge la enterectomie si anastomoza termino-terminala sau latero-laterala (de vazut Tehnici chirurgicale pag. 198-208)

sutura bresei de celiotomie:

peritoneul si tesutul fibros al liniei albe – puncte separate simple cu material resorbabil

tesutul conjunctiv subcutanat în surjet endoversat, cu material resorbabil

pielea în puncte separate simple, cu fire neresorbabile



CAZUL nr. 16

Istoricul bolii

Câine: 4 ani femela, rasa Cocker auriu

Debutul bolii in urma cu 6-8 luni. A avut mai multe vizite la medic pentru probleme cu urechile. A fost tratat cu diferite solutii si ungvente aplicate topic in ureche. Dupa fiecare tratament simptomele au revenit dupa 3 zile pâna la 2 saptamâni.

În ultimul timp scutura tot mai frecvent din cap, se scarpina insistent pe urechi si miroase foarte urât.


Examen clinic

Animal abatut, adinamic.

Temperatura 38,8oC , respiratie 12, frecventa cardiaca 114.

Examinarea urechilor este dureroasa. Se observa secretii abundente, iar dupa curatire aspectul este redat în imaginile urmatoare. Acelasi aspect se observa si la examinarea otoscopica a conductului auditiv extern.



Întrebari suplimentare – s-a efectuat examenul bacteriologic sau micologic

Diagnostic - Otita externa cronica hiperplazica

Prognostic - Rezervat

Tratament

1) Rezectia portiunii verticale a conductului auditiv extern (Tehnici chirurgicale, pag. 54)


Anestezie:

NLA sau N-NLA

Blocaj analgetic al primei perechi de nervi cervicali – doua injectii: la extremitatea ventrala a aripii atlasului si la baza pavilionului urechii, în partea caudo-laterala, câte 2-5 ml analgezic.

Contentie – decubit lateral

Instrumentar – bisturiu, pensa chirurgicala, sonda butonata, pense hemostatice, ace de sutura, portac.


Tehnica operatorie:

  • identificarea proiectiei externe a deschiderii portiunii orizontale a conductului auditiv extern prin reperare cu sonda butonata
  • incizia tegumentului subauricular, cu pornire la 1-2 cm dedesubtul punctului de reper stabilit anterior, spre tragusul urechii, de unde incizia se continua circular pe marginea deschiderii portiunii verticale a conductului auditiv.
  • în portiunea situata în interiorul conchiei auriculare (peretele medial al conductului auditiv) se incizeaza si cartilajul auricular
  • decolarea lambourilor cutanate, care se rabateaza lateral
  • disectia circulara a portiunii verticale a conductului auditiv, sectionând insertiile musculare si faciale de la jonctiunea cartilajului auricular cu cartilajul inelar, rabatând înspre în afara portiunea verticala a conductului auditiv
  • hemostaza prin forcipresura si electrocoagulare
  • sectionarea transversala a portiunii verticale a conductului auditiv extern care este înlaturata
  • deschiderea portiunii orizontale a conductului auditiv se sutureaza la piele (în locul de debut al inciziei tegumentare) în puncte separate simple, cu fire neresorbabile monofilament
  • sutura lambourilor cutanate – puncte separate simple cu material neresorbabil – plaga îmbracând forma literei „T”.

2) Cultura de pe portiunea orizontala a conductului auditiv pentru a se vedea daca este necesara continuarea tratamentului





CAZUL nr. 17


Istoricul bolii

Câine: 8 luni mascul, rasă Dog german

Debutul bolii in urmă cu 2-3 saptamâni. Animalul schiopătă uneori de piciorul drept anterior. schiopatura alterneaza cu intervale de timp în care mersul este normal (1-2 zile) apoi revine la un mers schiopatat.

S-a apelat la medic care, timp de o saptamâna, a administrat antiinflamatorii. În perioada tratamentului s-a observat o îmbunatatire, dupa care schiopatura a revenit.


Examen clinic

Temperatură 38,3oC, Frecventa cardiacă 113, Frecventa respiratorie 26

schiopatura de gradul I-II. Usoară atrofie a muschilor spetei.

Manipularea membrului cu producerea unor miscari de hiperflexie-hiperextensie produce constant durere, uneori poate fi auzit si un zgomot specific de clic-clac.


Cerinte suplimentare – examen radiologic (pentru articulatia scapulo-humerala)



Diagnostic – osteocondrita disecanta


Prognostic favorabil spre rezervat (mai degraba rezervat)


Tratament doua variante: conservator si chirurgical (Chirurgia ortopedica a animalelor de companie, pag. 170)





Tratament conservativ – presupune:

repaus

administrare de antiinflamatorii, analgezice

administrare de acid hialuronic (Adequan, Glycoflex)

Artrostop (acid condroitin sulfuric + proteoglicani)

Absenta confirmarii radiologice a vindecarii dupa maxim 6 saptamâni de tratament conservator impune interventia chirurgicala – artrotomie sau artroscopie.


Tratament chirurgical – artroplastia humerala cu acces caudo-lateral (pag. 173) am ales aceasta abordare pentru ca leziunea este caudala

Anestezie – N-NLA

Contentie – decubit lateral pe partea sanatoasa


Tehnica operatorie:

  • incizia curba a pielii si tesutului conjunctiv subcutanat, pornind de la jumatatea spinei scapulare si continuând distal pâna la jumatatea diafizei humerusului; bifurcatia venei cefalice brahiale delimiteaza distal incizia
  • incizia stratului adipos si a fasciei profunde a spetei – permite evidentierea celor doua portiuni ale muschiului deltoid: acromiala (cranio-lateral) si scapulara (caudo-lateral)
  • disectia boanta a acolarilor existente între cele doua portiuni ale muschiului deltoid descopera o ramura musculara a nervului axila, artera si vena circumflexa caudala a humerusului – structuri care trebuie protejate
  • portiunile deltoidului sunt retractate caudal, expunând insertiile humerale ale muschilor micul rotund (distal) si infraspinos (proximal)
  • tenotomia muschiului micului rotund – la 5 mm de insertia humerala, precedata de insertia în portiunea proximala a tendonului a unui punct de sutura (material resorbabil sintetic) care sa permita ulterior coaptarea si sutura
  • retractarea caudo-proximala a portiunii tenomizate a muschiului micul rotund
  • retractarea cranio-proximala a muschiului infraspinos
  • incizia capsulei articulare – paralel cu marginea cavitatii glenoide, la mijlocul distantei dintre aceasta si capul humeral (atentie în partea caudala – sa nu se lezeze nervul axilar si artera circumflexa caudala a humerusului)
  • extensia umarului si rotirea spre interior a humerusului permit expunerea portiunii caudale a capului humeral
  • chiuretarea osului subcondral aferent portiunii de cartilaj îndepartate sau forarea cu un burghiu subtire (1 mm) a câtorva traiecte intraosoase, mai ales când aspectul este palid, sclerotic (stimuleaza vascularizatia ariei respective si grabeste acoperirea cu tesut fibrocartilaginos)
  • explorarea articulatiei pentru îndepartarea soriceilor intra-articulari
  • lavajul cavitatii cu solutie salina sterila (înlatura urmele de fibrina, coagulii si eventualele fragmente de cartilaj)
  • suturarea capsulei articulare – puncte separate simple cu material resorbabil
  • tendonul muschiului micul rotund se sutureaza în puncte separate în „U” sau sutura tip Cuneo – cu material resorbabil sintetic sau neresorbabil
  • sutura septului intermuscular dintre cele doua portiuni ale muschiului deltoid – surjet simplu, material resorbabil
  • fascia profunda si tesutul conjunctiv subcutanat – surjet simplu, material resorbabil
  • pielea – puncte separate simple, material neresorbabil


CAZUL nr. 18


Istoricul bolii

Câine: 11 luni mascul, rasă Ciobanesc german.

Debutul bolii în urmă cu 2-3 saptamâni. Animalul schiopăta de piciorul stâng anterior. schiopatura este permanentă.

S-a apelat la medic care timp de o saptamână a administrat antiinflamatorii. În perioada tratamentului s-a observat o foarte usoara (neglijabilă) îmbunatatire, dupa care schiopatura a revenit.

Examen clinic

Temperatura 38,6oC, Frecventa cardiacă 118, Frecventa respiratorie 16

schiopatura de gradul I-II (pasi mici, rigizi si o evidentă limitare a miscarilor de flexie si extensie a cotului). Usoară tumefactie a articulatiei cotului.

Manipularea membrului cu producerea unor miscari de hiperflexie-hiperextensie produce constant durere, În timpul hiperextensiei articulatiei cotului crepitatia si durerea sunt bine evidentiate.


Cerinte suplimentare – examen radiologic – articulatia cotului

Întrebari – exista antecedente traumatice? – daca aceste antecedente traumatice nu exista, este posibila existenta unei nonuniuni la nivel ulnar (în acest caz a procesului anconat al ulnei) si se cere si radiografia articulatiei cotului de la membrul stâng (sanatos). Chirurgia ortopedica a animalelor de companie, pag. 334.


Diagnostic fractura de proces anconat al ulnei


Prognostic – favorabil


Tratament – osteosinteza cu surub (Chirurgia ortopedica a animalelor de companie, pag. 258, 336) – fixarea procesului anconat prin abordarea directa a focarului (liniei) de separare dintre acesta si ulna sau

– exereza procesului anconat (daca fragmentul nu este suficient de mare)


Anestezie – N-NLA

Contentie –decubit lateral pe membrul sanatos


Tehnica operatorie – acces caudo-lateral

  • incizia curba a pielii si tesutului conjunctiv subcutanat, pornind de deasupra epicondilului humeral lateral, peste articulatia cotului, pâna în treimea proximala a diafizei radiusului
  • retractarea divergenta a marginilor plagii cutanate
  • decolarea portiunii laterale a muschiului triceps si retractarea caudala a acesteia permite evidentierea insertiei muschiului anconat pe marginea condilului lateral al humerusului
  • incizia si decolarea subperiostala a insertiei muschiului anconat de pe marginea condilului lateral al humerusului si incizia în lungul aceleiasi linii a capsulei articulare expune compartimentul caudo-lateral al articulatiei cotului

De aici se pot urma doua variante:

a) Daca fragmentul este suficient de mare se va face osteosinteza: fixarea procesului anconat cu un surub de spongioasa inserat într-un montaj de compresiune interfragmentara dinspre ulna spre procesul anconat (pag. 340-341, procedeu modificat fata de tehnica originala, din motivele urmatoare – plasarea extraarticulara a capului surubului elimina posibilitatea traumatizarii cartilajelor articulare, plus extragerea se va face fara a mai redeschide articulatia)

  • pozitionarea corecta a procesului anconat si mentinerea coaptarii cu o pensa a contact punctual (pensa penrtu fixarea câmpurilor operatorii textile), eventual cu ghidaj pentru burghiere
  • forarea (burghiu cu diametru de 2,5 mm) traiectului pentru insertia surubului începe de pe marginea caudo-dorsala a procesului anconat, urmând un traiect oblic în sens distal, la 45o prin diafiza ulnei
  • portiunea de traiect burghiat din ulna se largeste (cu burghiu de 4 mm în diametru) pentru a asigura compresiune interfragmentara (traiectul de glisare)
  • se masoara lungimea traiectului burghiat pentru selectarea lungimii surubului si se tarodeaza doar traiectul din procesul anconat cu un tarod (diametru de 3,5 cm) cu pasul corespunzator filetului surubului
  • se introduce surubul dinspre ulna spre procesul anconat si se înfileteaza pâna când capatul surubului se îngroapa usor în ulna
  • lavajul atent al articulatiei

b) Daca fragmentul este prea redus pentru osteosinteza – exereza acestuia (pag. 338)

  • imobilizarea procesului anconat cu o pensa cu contact punctual si eliberarea sa prin incizarea atasarii fibroase la ulna si extragerea din articulatie
  • detasarea procesului anconat se va face cu un osteotom sau cu un decolator periostal
  • suprafata osoasa ramasa dupa exereza se va netezi cu o chiureta
  • lavajul atent al articulatiei

De aici, iar sunt comuni pasii:

  • capsula articulara – puncte separate simple cu material resorbabil
  • muschiul anconat – sutura cu material resorbabil la originea insertiilor proximale a muschilor extensori ai antebratului
  • portiunea muschiului triceps decolata – se va atasa prin câteva puncte separate simple de sutura de fascia brahiala
  • tesut conjunctiv subcutanat – surjet simplu, material resorbabil
  • piele – puncte separate simple, material neresorbabil

CAZUL nr. 19


Istoricul bolii

Câine: 11 ani mascul, rasă Comuna

Debutul bolii în urmă cu 4 zile. Animalul se scarpina insistent peste urechi de cca. 1 saptamâna. De 4 zile a aparut o umflatura pe urechea dreaptă care stă pleostită (nu mai poate fi ridicată voluntar, atârnă).

Umflatura a crescut în dimensiuni.

Examen clinic

Temperatură 39,3 C, Frecventa cardiacă 113, Frecventa respiratorie 36.

Tumefactie pe fata internă a pavilionului urechii. Tumefactie usor caldă, consistenta fluidă, fluctuenta, usoara crepitatie la palparea profundă.

La palpare durere de intensitate medie spre mare.





Întrebari suplimentare

Care este întinderea exacta? – este importanta pentru stabilirea tratamentului


Diagnostic - othematom

Prognostic favorabil


Tratament

1) Pentru cele de dimensiuni mici:

unguente rezolutive – Lasonil

frictii cu tinctura de iod

pansament protector

analgezice generale (Algocalmin, Piafen)


2) Pentru cele de dimensiuni mari – chirurgical (Tehnici chirurgicale pag. 56)


Anestezie – NLA sau N-NLA si blocajul analgezic al primei perechi de nervi cervicali (vezi cazul nr. 16, pag .11 în document)

Contentie – decubit sterno-abdominal

Instrumentar – bisturiu, foarfece, pensa chirurgicala, pense hemostatice, ace de sutura, portac.


Tehnica operatorie:

  • incizia longitudinala sau eliptica a pielii de pe fata interna a conchiei auriculare
  • drenajul cavitatii othematomului (scurgerea partii lichidiene si extractia coagulului), eventual chiuretarea si lavajul cavitatii (solutii saline)
  • acolarea prin sutura a pielii desprinse de la cartilaj de catre colectia sangvina – puncte separate în „U” vertical, inserate perforant (trecute prin ambele fete ale conchiei auriculare)
  • suturile se amplaseaza liniar, paralel cu incizia de drenaj; distanta dintre doua puncte de sutura, ca si cea dintre rânduri este de 0,5-1 cm

Se va încerca si depistarea cauzei primare – o eventuala otita, dermatita?












CAZUL nr. 20


Istoricul bolii

Cabalină, rasă autohtonă, femelă, 3 ani, negestanta.

Animal cu temperament nervos si care, aflat fiind la pasune s-a agatat într-un gard în urmă cu 2 ore.

Examen clinic

Temperatura 38,3 C, Frecventa cardiaca 43, Frecventa respiratorie 16

Temperament nervos (încearca să muste si să loveasca), facând imposibilă examinarea. Se observă o solutie de discontinuitate la pleoapa superioara a ochiului drept.



Diagnostic plaga a pleoapei superioare drepte, recenta, completa, sfâsiata


Prognostic favorabil


Tratament
Blefarorafie (Tehnici chirurgicale pag. 12)

Initial ulcerul se cauterizeaza cu solutie Lűgol sau tinctura de iod

Anestezie locala si generala

Daca ulcerul este complicat, profund, local se utilizeaza antibiotice injectate subconjunctival + general se aplica spalaturile subpalpebrale, local atropina; daca este necomplicat se utilizeza doar antibiotice si atropina (faza I);

În faza a II-a se utilizeaza agenti antiproteazici ( L-cisteina 0,15% sau EDTA 0,1%) iar leziunea se debrideaza (chirurgical/chimic);

În faza a III-a se apeleaza la conjunctivorafie sau blefarorafie (acoperire cu pleoapa a III-a);

COMPLETĂRI – ce a mai spus proful

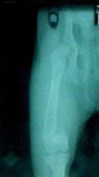
Canina: 4 luni mascul, rasa Collie

Animalul a fost lovit de o masina. De atunci schioapata de membrul posterior drept, iar coapsa dreapta a început sa se umfle. Refuza sa mai manânce.

Examen clinic

Temperatura 39,3oC, Frecventa cardiaca 113, Frecventa respiratorie 36.

schiopatura de gradul III-IV. Membrul este tumefiat, dureros si usor mai scurt decât congenerul. În general animalul refuza sa se deplaseze.

La palpatia coapsei se simte o tumefactie elastica, uneori crepitatie.



Cerinte suplimentare





Diagnostic – fractura femurala închisa , completa, simpla, epifizara (EPIFIZIOLIZĂ)


Prognostic – favorabil


Tratament – Osteosinteza cu fixatori externi (reducerea închisa a focarului de fractura)

Presupune traversarea unor tije filetate sau nu (Kirscher sau Steinmann) prin fragmentele de fractura. La exterior aceste tije vor fi fixate prin inele Ilizarov sau bare de conexiune (paste autopolimerizabile, placi metalice perforate, tije metalice cu dispozitive de prindere a broselor Steinmann sau Kirscher). Se trece:

o brosa prin condili (transversal) – cu albastru

doua brose superioare, prin femur (transversal) – cu albastru

doua brose inferioare, prin tibie (transversal) – cu albastru

o brosa oblica (previne deplasarea laterala) – cu rosu



NU se recomanda reducerea deschisa a focarului si fixarea interna – osteosinteza centro-medulara – pentru ca distruge linia de crestere.

La adulti se recomanda montajul în arc secant sau în „X”.











CAZUL nr. 32


Istoricul bolii

Canina: 14 ani femela, rasa Caniche

Pe burta animalului au fost observate de cca 1 an niste umflaturi care au continuat sa creasca în volum. Animalul refuza sa mai manânce de aproximativ o saptamâna.

Examen clinic

Temperatura 39,1oC, Frecventa cardiaca 98, Frecventa respiratorie 36.

Inspectie – vezi foto.

La palpatia tumefactiilor abdominale localizate la mamelele toracice, abdominale si inghinale se simte o tumefactie cu consistenta ridicata, una din ele este abcedata iar limfonodurile regionale au marimea unei alune si aceeasi consistenta. Crepitatie.

Aspect de animal abatut, adinamic cu o respiratie greoaie.

Examenul toracelui – dispnee, matitate si submatitate pe toata aria de proiectie a toracelui, murmur vezicular înasprit cu raluri cavernoase. Ascultatia cordului diminuarea zgomotelor si marirea ariei de matitate.



adenocarcinoame mamare (T4N3M1 PUL)

T4 = grad maxim de extindere locala si marime a tumorii primare (în acest caz este vorba de mai multe); N3 = grad maxim de afectare a limfonodurilor regionale; M1 PUL = metastaze pulmonare – se poate spine ca este vorba de stadiul III (daca înca se mai deplaseaza sau stadiul IV daca nu o mai face

abcedarea unei formatiuni tumorale


Pronostic – grav


Tratament – eutanasie

Daca stapânul nu doreste acest lucru, se va rezolva abcesul (drenare etc.) si animalul va fi trecut pe Morfina sau Tramadol.


Daca ar fi fost vorba doar de o singura formatiune tumorala, fara metastaze:

mastectomie (cu respectarea principiilor de chirurgie oncologica)

ablatia limfonodurilor aferente

ovariohisterectomie

chimioterapie, radioterapie


CAZUL nr. 33


Istoricul bolii

Canina: 4 luni femela, rasa Pudel

Animalul a fost scos la plimbare în lesa. La un moment dat a încercat sa se întoarca brusc, a scos un schelalait, a început sa tremure si nu mai prezenta stabilitate pe trenul posterior. Refuza sa mai manânce.

A fost consultat de un medic si tratat cu antiinflamatorii, dar situatia s-a agravat, nu mai face deloc sprijin pe membrele posterioare.


Examen clinic

Temperatura 39,1oC, Frecventa cardiaca 128, Frecventa respiratorie 36.

Inspectie – vezi foto. Cap si gât in extensie fortata. Mobilizarea pasiva a capului este posibila si nedureroasa. Nu se observa deformari ale membrelor posterioare sau ale coloanei vertebrele. Absenta sprijinului pe membrele posterioare.

  • Reflexe spinale prezente pâna la L-2 dupa care se sesizeaza o diminuare tot mai accentuata
  • Reflex anal incert
  • Reflex plantar - absent
  • Reflex algic- foarte usoara reactie
  • Reflex patelar - usor accentuat ca si r. bicepsului femural (denota existenta unei zone de excitatie, de compresiune pe maduva
  • Reflex tactil – absent
  • Reflex sprijin – absent





Cerinte suplimentare – examen radiologic al coloanei vertebrale


Vertebre lombare

Vertebre toracice si lombare


Câine, Brac german, mascul, 29 kg, vârsta de 6 ani.

De cca. doua luni manânca cu dificultate si, desi are apetit bun, la prehensiune sau la masticatia alimentelor are momente când acuza durere.

Din gura se observa o formatiune rosietica care uneori sângereaza.


Examen clinic

Vezi foto. Se remarca o usoara salivatie. Formatiunea pare bine implantata în gingie, are consistenta ferma si este usor dureroasa la palpare.


Diagnostic – epulis (fibrom gingival)

Se diferentiaza de papiloame prin localizare (acestea sunt dispuse pe mucoasa palatului dur, moale, planseului oral, limbii, vestibulului bucal, labial, pe buze); aspect (epulis – globulos; papilom – verucos, neregulat); baza de implantare (la papiloame baza de implantare este redusa, sunt pediculate).


Pronostic – favorabil


Tratament – rezectia neoformatiei gingivale.

Se va avea în vedere rezectia radicala, pentru ca, în absenta acesteia, recidivele sunt frecvente.



CAZUL nr. 35


Istoricul bolii

Canina: 2 ani mascul, rasa Rottweiler

Animalul a fost lovit de o masina. De atunci schioapata de membrul posterior drept, iar coapsa dreapta a început sa se umfle. Refuza sa mai manânce.

Examen clinic

Temperatura 39,1oC, Frecventa cardiaca 110, Frecventa respiratorie 36.

schiopatura de gradul III-IV. Membrul este tumefiat, dureros si usor mai scurt decât congenerul. În general animalul refuza sa se deplaseze.

La palpatia coapsei se simte o tumefactie elastica, uneori crepitatie.


Cerinte suplimentare

reflex plantar - absent,

  • reflex algic- foarte usoara reactie, reflex patelar - usor diminuat ca si reflexul bicepsului femural
  • reflex tactil – absent
  • reflex sprijin – absent.

  • Cerinte suplimentare – examen radiologic al coloanei vertebrale, mielografie




    Diagnostic

    compresiune medulara de la T13 pâna la L3 (se observa foarte bine cum discurile intervertebrale comprima maduva spinarii)

    spondilartroza la L1 – L4 (depuneri de osteofite)


    Prognostic – rezervat spre grav


    Tratament:

    • fenestratie de discuri (vezi cazul 33, pag. 6 în acest document)
    • nivelare spondilartroza








    CAZUL nr. 38


    Istoricul bolii

    Cabalina, rasa autohtona, femela, 9 ani, negestanta.

    Pe burta a fost observata, de cca. doi ani, aparitia unei „carni” care continua sa creasca si sa sângereze.


    Examen clinic

    Temperatura 38,3oC, Frecventa cardiaca 43, Frecventa respiratorie 16

    Se observa o tumefactie, solida, ferma, cu solutii de discontinuitate – localizata în zona ventrala, mediana a abdomenului.. Tumefactia este putin dureroasa.



    Cerinte si întrebari suplimentare:

    • exista larve de muste în leziune? – daca nu, se exclude plaga miazigena
    • exista antecedente traumatice, în sensul unei plagi? – daca nu a existat initial o plaga se poate exclude hiperplazia tesutului de granulatie (care este bine vascularizata, dar lipsita de nervi, deci nedureroasa; putea fi exclusa si de la examenul clinic
    • biopsia ce a relevat?

    Diagnostic

    hemangiom (se exclude, pentru ca apare în zone mai bine vascularizate, nefiind cazul acestei regiuni)

    sarcoid


    Prognostic – rezervat (pentru ca apar foarte frecvent recidive)


    Tratament – ablatia neoformatiei (cu respectarea principiilor de chirurgie oncologica)






    CAZUL nr. 39


    Istoricul bolii

    Cabalina, rasa autohtona, femela, 1 an.

    A venit lovita de la pasune acum 3 saptamâni. Piciorul a fost mai umflat decât în prezent. Din rana se scurge puroi. Animalul refuza sa se mai deplaseze si sa mai consume furaje.


    Examen clinic

    Temperatura 39,8oC, Frecventa cardiaca 63, Frecventa respiratorie 36

    Inspectie - vezi foto. Stare generala afectata.

    schiopatura gradul III – IV membrul stâng anterior. Local tot piciorul este tumefiat, dureros, tumefactia este fluctuent-pastoasa, calda.







    Diagnostic:

    Flegmon difuz în faza de necroza si supuratie

    Fistule

    Posibil, datorita vechimii procesului – artrita si osteomielita

    Câine, Pechinez, mascul, 6 kg, vârsta de 12 ani.

    De cca. trei saptamâni    manânca cu dificultate, nu mai are apetit bun, slabeste iar atunci când manânca, la prehensiune sau la masticatia alimentelor, are momente când acuza durere. Gura îi miroase foarte urât.




    De cât timp au aparut manifestarile?

    Pe conjunctiva sunt prezente sau nu vezicule?

    Ce aspect are zona perioculara?

    Care a fost evolutia lor?

    A fost tratata rinotraheita herpetica? Daca da, cu ce?

    Cerinte suplimentare:

    examen oftamologic

    testul cu fluoresceina

    biopsie?


    DIAGNOSTICUL CONJUNCTIVITĂ HERPETICĂ

    Diferential fata de:

    - neoplazii conjunctivale;


    PROGNOSTICUL FAVORABIL


    CONDUITA TERAPEUTICĂ

    Aciclovir general si local ca ungvent;

    Ungvent oftalmic cu antibiotice si antiinflamatorii + anestezice;

    Stimularea imunitatii generale, nespecifice: Polidin, Cantastim, vitamine (în special A si C);

    Sau terapie cu laser rece.




    CAZUL nr. 57


    Istoricul bolii

    Suina: 7 zile mascul, rasa Bazna

    Înca de la nastere s-a observat o umflatura asimetrica în zona subanala. Umflatura creste în dimensiuni.

    Examen clinic

    Examenul regiunii afectate - vezi foto.

    În general animalul se deplaseaza foarte putin. Starea generala nu pare a fi afectata. Temperatura 39oC, frecventa respiratorie 27, frecventa cardiaca 64.



    Diagnostic – hernie inghino-scrotala congenitala unilaterala reductibila (purcelul are doar 7 zile ; hernia devine nereductibila când animalul a crescut mult)


    Prognostic – favorabil


    Tratament – chirurgical (Tehnici chirurgicale pag. 136)


    Anestezie – NLA

    neuroleptic – acepromazina (0,2-0,3 mg/kg i.v. sau 0,4-0,5 mg/kg i.m) sau Stresnil (2-4 mg/kg i.v. si i.m.)

    la 15 minute analgezic – Ketalar (10-20 mg/kg i.v.)

    Contentie – decubit dorsal

    Instrumentar – bisturiu, bisturiu butonat, pensa chirurgicala, pense hemostatice, pense de castrare, foarfece, departatoare, ace de sutura, portac.


    Tehnica operatorie:

    • incizia pielii deasupra inelului inghinal
    • izolarea sacului hernial prin dilacerare (se izoleaza teaca vaginala care contine testiculul si masa herniata) ; uneori este necesara si incizia învelitorilor testiculare
    • repunerea continutului herniar – se fixeaza testiculul în fundul tunicii vaginale, care se torsioneaza
    • ligatura transfixica a cordonului testicular (cu fir resorbabil) si ablatia testiculului
    • închiderea traiectului inghinal prin ancorarea bontului de cordon testicular la marginile inelului inginal superficial
    • tesut conjunctiv subcutanat – surjet simplu, material resorbabil
    • piele – puncte separate simple, material neresorbabil



    CAZUL nr. 52


    Istoricul bolii

    Cabalina, Pur sânge englez, mascul, 1 an.

    Oboseste foarte repede la efort, este incapabil sa alerge cu alti indivizi de vârsta lui fara sa se opreasca si sa respire greu.

    Examen clinic

    Temperatura 38,5oC, frecventa respiratorie 27, frecventa cardiaca 44.

    Ascultatia toracelui nu a permis decelarea de zgomote anormale.

    Dispnee mai ales la efort, respiratie zgomotoasa, tuse si exsudat nazal (orienteaza spre Aderentele epiglotei)

    Examen endoscopic al laringelui – vezi foto.



    Imaginea nu este clara !!!

    Cerinte suplimentare

    • este modificata pozitia epiglotei, se observa aderenta epiglotei la cartilajele aritenoide – daca da, atunci este vorba despre aderentele epiglotei
    • cum a aparut simptomatologia – s-a accentuat în timp pe parcursul a câtorva saptamâni sau luni sau într-un interval mai scurt?
    • palparea laringelui imediat dupa efort accentueaza cornajul? – daca da, atunci este vorba de o hemiplegie sau pareza laringiana
    • ce releva examenul endoscopic – apare un asincronism al miscarilor proceselor corniculare în timpul respiratiei? – daca da atunci este vorba de hemiplegie laringiana – sau daca este vorba de absenta miscarilor - pareza laringiana (asta daca apar crize asfixice frecvente si dispneea este permanenta)

    Diagnostic

    • aderentele epiglotei
    • hemiplegia laringelui
    • pareza laringelui

    Prognostic

    • în aderentele laringelui – rezervat datorita recidivelor
    • în hemiplegia si pareza laringelui – rezervat (doar 70% din ecvinele operate sunt capabile sa se întoarca la curse)

    Tratament

    1) În aderentele epiglotei:

    • divizarea prin incizarea la mijloc a axului lung a faldului mucos aritenoido-epiglotic (ligamentul vestibular)
    • accesul operator poate fi oral (sub control endoscopic) sau prin laringotomie
    • incizia se va face cu bisturiu electric cu laser sau mijloace clasice (bisturiu, foarfece) – recidive în 40% din cazuri
    • excizia endoscopica a ligamentului vestibular pornind dinspre caudal spre rostral reduce rata recidivelor la 5%
    • postoperator – antibiotice pe cale generala si local (sprayuri), antiinflamatorii, reexaminarea periodica pâna la vindecare (cca. 14 zile)

    Cabalina, Pur sânge englez, mascul, 1 an.

    Oboseste foarte repede la efort, este incapabil sa alerge cu alti indivizi de vârsta lui fara sa se opreasca si sa respire greu.

    Evolutia este progresiva manifestarile clinice crescând în intensitate de câteva saptamâni.

    Examen clinic

    Temperatura 38,5oC, frecventa respiratorie 27, frecventa cardiaca 44.

    Ascultatia toracelui nu a permis decelarea de zgomote anormale

    Dispnee, extrem de severa, cornaj, voce schimbata (tonalitati joase), tuse si mai rar tulburari de deglutitie. Palparea laringiana imediat dupa efort accentueaza cornajul.

    Examinarea endoscopica releva în majoritatea cazurilor un asincronism al miscarii proceselor corniculate în timpul respiratiei – vezi foto



    Diagnostic – hemiplegia laringelui – este afectata partea stânga


    Pronostic – rezervat


    Tratament – vezi cazul 52 (pag. 3 în acest document)



    CAZUL nr. 54


    Istoricul bolii

    Cabalina, rasa Autohtona, femela, 4 ani.

    În urma cu 5 ore a început sa fie agitata, loveste solul cu copita, se trânteste. Nu mai manânca. Nu a defecat si nici nu a urinat.


    Examen clinic

    Temperatura 38,6oC, frecventa respiratorie 27, frecventa cardiaca 74. TRC – 3 sec. Mucoase rosietice. Deshidratare moderata. Reflux gastric prezent.

    Zgomote abdominale absente._ XUHUH_ puternica care nu cedeaza la spasmoanalgezice.

    La exploratie transrectala – abdomen puternic dilatat, dureros, semnul bratului pozitiv (indica întreruperea tranzitului).

    Examen laborator: hematocrit 45%, neutrofilie, proteina totala în lichidul peritoneal 3g/dl. În lichidul peritoneal - eritrocite si neutrofile



    Întrebari suplimentare:

    • istoricul medical – s-au facut vaccinari, deparazitari, a mai avut antecedente de colica?
    • s-au observat paraziti în fecale
    • au survenit modificari bruste în regimul de furajare si de exploatare, care au fost aceste modificari, exista posibilitatea ingerarii de corpi straini?
    • cum arata lichidul gastric, în ce cantitate a fost evacuat, modul de curgere (spontan, sub presiune, prin aspiratie), este prezent sângele, ce pH are, daca exista gaze (asta pentru dilatatia acuta primara a stomacului)? – Normal, lichidul gastric este verzui, cu miros dulceag, cu particule de alimente si pH 3-6; în ocluzia intestinului subtire este galben-maro, cu miros fetid, pH între 6-8.
    • care este numarul de eritrocite si de neutrofile din lichidul peritoneal (în infarcte intestinale numarul de eritrocite si neutrofile este cel mai mare – 300 000-400 000/ml)


    Diagnosticeste foarte posibila ocluzia prin strangulare a intestinului subtire (se va face celiotomie exploratorie)

    Prin întrebarile de mai sus se pot exclude dilatatia acuta primara a stomacului si infarctele intestinale.


    Pronostic – rezervat


    Tratament – vezi curs 19 „Patologia chirurgicala a abdomenului II”– pagina 15-17



    CAZUL nr. 55


    Istoricul bolii

    Canina: 6 luni (sau ani?, nu se întelege), rasa Comuna

    Urineaza cu sânge, uneori se observa picurari de sânge între mictiuni. De cca. 10 zile a aparut o umflatura rosietica exteriorizata din vulva


    Examen clinic

    Temperatura 39,2o C, Frecventa cardiaca 110, Frecventa respiratorie 36.

    Vezi foto



    Întrebari suplimentare:

    • ce aspect are suprafata? – neteda, umeda, prezinta fisuri, secretii purulente?
    • femela este în calduri? – daca da, poate fi vorba de hiperplazie vaginala pe fond hiperestrogenic
    • femela a fatat recent? la palpatie se poate sesiza colul uterin? – atunci este vorba de prolaps vaginal
    • este vorba de o formatiune sesila? – atunci – tumora Sticker. Dar se pare ca nu este cazul aici


    Diagnostic – hiperplazia mucoasei vaginale


    Pronostic – favorabil


    Tratament:

    • aplicarea de unguente cu antibiotice pe mucoasa hiperplaziata si colier Elisabetan pentru a împiedica automutilarea; de regula, odata cu terminarea estrului formatiunea recidiveaza
    • daca masa hiperplaziata este voluminoasa si/sau lezionata masiv – rezectia submucoasa, dar recidiva este posibila
    • ovariohisterectomia rezolva problema în sine, dar si a recidivelor



    CAZUL nr. 60

    Istoricul bolii

    Cabalina, Pur sânge englez, femela, 2 ani. A fost gasita pe pasune, în urma cu o zi,

    în starea prezentata în imaginea urmatoare.


    Examen clinic

    Temperatura 39,7 C, frecventa respiratorie 37, frecventa cardiaca 54.

    Tumefactie calda, pastoasa premamar dreapta si în zona ventro-laterala dreapta.

    Zgomote abdominale prezente. Apetit prezent, defecare, urinare - prezente




    Diagnostic – plaga prin agatare, profunda, veche (contaminata)


    Prognostic – rezervat


    Tratament: Chirurgie veterinara pag. 308-318

    • igienizarea si antisepsia regiunii – tunderea perilor, spalare cu apa calda si sapun, pensulatii cu tinctura de iod
    • decontaminarea plagii – îndepartarea din plaga cu instrumente sterile a corpilor straini, perilor, coagulilor de sânge si a fragmentelor de tesut desprinse, apoi spalare abundenta cu solutii antiseptice – dezinfectant cationic 0,5%, clorhexidina 0,5%, apa oxigenata 3%
    • debridarea chirurgicala – evacuarea materialului septico-necrotic, a tesuturilor necrozate desprinse
    • combaterea infectiei – local (pulberi cu sulfamide – Suzotril –, Manis (nitrofuran), Iodoform) si general cu antibiotice
    • drenaj
    • stimularea inflamatiei demarcate si a procesului de debridare – vezicatii

    Plaga debridata se va evalua si se va trata ulterior:

    • tratare prin sutura întârziata primara

    - se aplica pentru plaga tratata corect si la care procesul de debridare s-a desfasurat normal

    muschi – sutura în „X” sau „U” orizontal, material resorbabil

    tesut conjunctiv subcutanat – surjet simplu, material resorbabil

    piele – sutura de rezistenta cu burdoneti, material neresorbabil


    apropierea si afrontarea directa a marginilor ca atare, atunci când pielea este usor deplasabila pe suprafata plagii, curata si acoperita cu tesut de granulatie sanatos

    excizia si dilacerarea, atunci când marginile sunt sclero-fibrozate si aderente

    excizia în bloc a tesutului de granulatie si a marginilor plagii


    Obligatoriu – serumizare antitetanica



    CAZUL nr. 63


    Istoricul bolii

    Cabalina, rasa Ardenez, femela, 6 ani. A fost gasita pe pasune, în urma cu 2 ore, în starea prezentata în imaginea urmatoare.





    Examen clinic

    Temperatura 39,7oC, frecventa respiratorie 37, frecventa cardiaca 64.

    Zgomote abdominale prezente. Apetit prezent, defecare, urinare - prezente


    Cabalina, rasa Autohtona, femela, 7 ani.

    A fost gasita pe pasune, în urma cu 6 luni, cu o plaga de cca 4-5 cm, în zona fluierului la membrul posterior drept. De atunci s-a observat o crestere lenta în volum a plagii, ajungând la aspectul prezentat în imaginile urmatoare.


    Examen clinic

    Temperatura 38,7oC, frecventa respiratorie 17, frecventa cardiaca 44.

    Tumefactie nedureroasa, aderenta puternic la substrat, acoperita de epiderm, zone de ulcerare. În unele zone are aspect conopidiform.

    schiopatura discreta.




    Diagnostic – cheloid


    Prognostic – rezervat


    Tratament Chirurgie veterinara pag. 320-321

    • ablatie totala, cu menajarea pielii
    • aplicare de pulberi sicative pe plaga chirurgicala
    • sutura plagii
    • aplicarea de unguente cu oxid de zinc pe marginea plagii

    Pentru prevenire recidive – blocaj regional cu Denervin. Rezultate bune da si corticoterapia locala si generala, asociata cu medicatia enzimatica (tripsina, alfa chimotripsina).


    Bolte – pentru cele inoperabile, datorita localizarii si marimii – injectarea în masa cheloidului de extract brut de Helleborus; necroliza se produce în câteva zile, cheloidul cade si lasa o plaga care apoi se va trata ca mai sus.

    CAZUL nr. 65


    Istoricul bolii

    Cabalina, rasa Pur sânge englez, femela, 5 ani.

    Refuza sa mai sara obstacole. La sfârsitul unui antrenament prezinta schiopatura

    membrului posterior stâng

    Examen clinic

    Temperatura 38,7oC, frecventa respiratorie 17, frecventa cardiaca 44.

    schiopatura de gradul II uneori chiar III a membrului posterior stâng.

    Fata mediala a jaretului usor asimetrica, usoara marire în volum, nedureroasa, de consistenta ferma, temperatura locala nemodificata.







    Cerinte suplimentare:

    • este vorba de asa-zisa schiopatura la rece?
    • care a fost raspunsul la proba spavanului? (proba consta în flexarea articulatiei grasetului si jaretului, si mentinerea în aceasta pozitie timp de circa 2-3 minute, dupa care animalul este condus la trap; daca proba este pozitiva, primii pasi vor si cu schiopatura mai intensa, chiar deplasare în trei picioare, apoi se amelioreaza)
    • examen radiologic – regiunea jaretului

    Se mai poate utiliza si blocarea nervului tibial caudal (blocajul distal – pe fata mediala a membrului, la 10-15 cm proximal de calcaneu si la 1-2 cm cranial de tendonul calcanean comun; acul se introduce sub aponevroza, orientat pe traiectul nervului si se inoculeaza 10-15 ml xilina sau procaina)


    Diagnostic – spavan (exostosul tarso-metatarsian medial)


    Prognostic - rezervat


    Tratament

    • periostotomie – da unele rezultate
    • aplicarea de puncte de foc asociate cu substante vezicante protejate cu pansament dau rezultate
    • injectii cu Denervin în jurul exostozei sau si în masa ei si blocajul cu procaina a nervului tibial caudal au un oarecare efect terapeutic











    Document Info


    Accesari: 44851
    Apreciat: hand-up

    Comenteaza documentul:

    Nu esti inregistrat
    Trebuie sa fii utilizator inregistrat pentru a putea comenta


    Creaza cont nou

    A fost util?

    Daca documentul a fost util si crezi ca merita
    sa adaugi un link catre el la tine in site


    in pagina web a site-ului tau.




    eCoduri.com - coduri postale, contabile, CAEN sau bancare

    Politica de confidentialitate | Termenii si conditii de utilizare




    Copyright © Contact (SCRIGROUP Int. 2025 )