Generalitati : Amenajari hidroenergetice si baraje mobile
2.1. Amenajari hidroenergetice
2.1.1. Folosintele amenajarilor hidroenergetice
Caracterul limitat si neuniformitatea raspandirii in timp si spatiu a resurselor de apa precum si amenintarea poluarii duc la necesitatea utilizarii rationale a lor.Gospodarirea apelor este imperios necesara, ea reprezentand un ansamblu de activitati desfasurate pentru realizarea mai multor scopuri, printre care: 656g62g
combaterea efectelor daunatoare ale apelor (exces de umiditate, inundatie, erodarea albiilor, etc);
satisfacerea necesitatilor de apa ale activitatilor umane in cantitatea si cu calitatea ceruta de beneficiar;
protectia resurselor de apa impotriva poluarii si epuizarii cantitative.
Pentru a se obtine un randament maxim, un curs de apa trebuie amenajat si folosit in acelasi timp pentru mai multe scopuri. O asemenea folosire poarta denumirea de folosinta complexa.
Amenajarile hidroenergetice constituie un exemplu de folosinta complexa,deoarece apa acumulata intr-un lac artificial poate fi folosita in acelasi timp pentru producerea de energie, alimentarea cu apa a zonelor agricole (irigatii), alimentarea cu apa potabila sau industriala a localitatilor apropiate, piscicultura, combaterea eroziunii solului, agrement ,etc.
Transformarea energiei hidraulice a unui curs de apa in energie electrica se face in cadrul amenajarilor hidroelectrice in doua etape succesive: transformarea energiei hidraulice in energie mecanica prin intermediul turbinelor hidraulice; acestea antreneaza hidrogeneratorii care transforma energia mecanica in energie electrica.
Scopul amenajarilor hidroelectrice este de a concentra caderile disponibile si debitele pe sectoare scurte. Exista cazuri cand acest lucru este realizat, sau cel putin favorizat de anumite conditii naturale, cum ar fi cazul cascadelor, sau cel al unor lacuri sau cursuri de apa invecinate, dar situate la cote diferite. In cele mai multe cazuri insa se recurge la mijloace artificiale si din acest punct de vedere exista urmatoarele tipuri principale de scheme de amenajare ale unui rau:
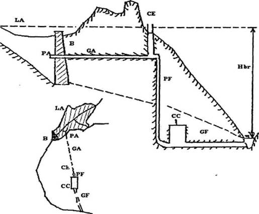
a) prin ridicarea locala a nivelului apei; acest lucru se realizeaza prin intermediul unui baraj care ridica nivelul apei si mareste sectiunea de scurgere pe o anumita distanta in amonte. O astfel de schema de amenajare, la care cladirea centralei este situata langa baraj, se numeste uzina-baraj.
b) prin derivarea apei pe un canal de aductiune cu panta redusa,care sa asigure conditii de scurgere mai favorabile si sa creeze astfel caderea necesara. O astfel de amenajare se numeste amenajare de derivatie si ea este specifica cursurilor mijlocii ale raurilor, deci in zonele de deal. Din lacul de acumulare apa este deviata pe un canal de derivatie, cu o panta mai mica decat cea naturala a raului, traseul canalului fiind aproximativ paralel cu al raului. La capatul aval al canalului deschis, apa este pusa sub presiune intr-o camera de incarcare si apoi dusa la cladirea centralei printr-o conducta cu panta foarte mare, numita conducta fortata. Dupa turbinare, apa este restituita raului printr-un canal deschis numit canal de fuga.
|
|
|
Camera echilibru |
|
Albia naturala |
a) b)
Figura 1. Scheme de amenajare hidroenergetica
a) uzina baraj
b) uzina derivatie
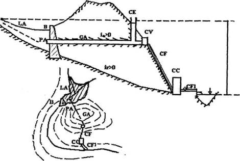
c) Printr-o solutie mixta, cu ridicarea nivelului apei prin barare si derivare printr-o tubatie sub presiune; aceste amenajari se numesc amenajari mixte, in figura 2. a) fiind reprezentata o amenajare cu cladirea centralei la suprafata, iar in figura 2.b) o amenajare cu centrala situata in subteran. In cazul acestor scheme, specifice zonelor muntoase, deci cursurilor superioare ale raurilor, barajele sunt mai inalte si realizeaza acumulari mari.
|
|
|
|
Fig. 2.a) Amenajare de tip mixt cu cladirea centralei aflata la suprafata
Fig. 2.b) Amenajare de tip mixt
cu cladirea centralei aflata subteran
O amenajare hidroelectrica se realizeaza cu ajutorul urmatoarelor obiective hidrotehnice (sau uvraje) :
barajul de derivatie sau acumulare, prevazut cu descarcator de ape mari si cu golire de fund;
prize de apa situate in corpul barajului sau pe versanti;
aductiunea, in care curgerea se poate face sub presiune (galerii sau conducte) sau cu nivel liber (canale sau galerii);
castelul de echilibru (in cazul aductiunilor sub presiune) sau camera de incarcare (in cazul canalelor);
casa vanelor;
conducta sau galeria fortata;
cladirea centralei;
canalul sau galeria de fuga.
Trebuie precizat ca nu toate schemele de amenajare contin toate uvrajele mentionate, in unele cazuri lipsind o parte a acestora. Astfel, in cazul uzinelor-baraj lipsesc : aductiunea, castelul de echilibru, casa vanelor, canalul de fuga, iar in cazul uzinelor,cladirea centralei joaca rolul barajului.
2.2. Baraje mobile
2.2.1. Consideratii generale
Barajele mobile sunt baraje de mica inaltime, formate din elemente fixe si mobile, care se construiesc in zonele de ses ale raurilor, cu scopul de a realiza inaltimea necesara devierii apelor pe aductiunile ce duc apa la folosinte (centrala hidroelectrica, alimentarea cu apa a unei zone industriale sau a unei asezari omenesti, irigatii etc). Acumularile realizate cu astfel de baraje au capacitate mica. In zonele de ses raurile au o serie de caracteristici, printre care: valori mari ale debitelor medii si maxime cu diferite asigurari, vaile raurilor sunt dens populate, cu multe suprafete agricole si traversate de numeroase cai de comunicare, valori mari ale debitului solid, etc.
Barajele mobile trebuie sa indeplineasca urmatoarele functii:
sa permita evacuarea debitelor maxime in conditii de siguranta, in limita albiilor existente sau cu indiguiri reduse pe conturul lacului creat de baraj;
sa permita evacuarea debitului solid transportat de rau, mai ales in perioadele de viituri, pentru a nu se colmata lacurile de acumulare, fara insa a pierde prea mari cantitati de apa;
Barajele mobile sunt formate din:
parte fixa, construita din beton sau zidarie;
o serie de elemente mobile, denumite stavile, care se reazema pe partea fixa.
2.2.2. Partea fixa a barajelor mobile
Partea fixa a barajelor mobile este alcatuita din culee, pila si radier. Prin manevrarea stavilelor sectiunea barata se poate elibera total sau partial, permitand evacuarea apelor mari, aluviunilor, plutitorilor sau gheturilor in conditiile respectarii anumitor nivele maxime si fara a inunda anumite puncte din bieful amonte. Problema evacuarii gheturilor este deosebit de importanta, in special pe raurile mari si fluvii.
In unele cazuri, barajul mobil ocupa doar o parte din sectiunea barata a raului, restul fiind ocupat de constructii de alt gen: diguri de pamant, cladirea centralei hidroelectrice, ecluze.
Partea fixa a unui baraj mobil este realizata din beton, beton armat sau zidarie de piatra cu mortar de ciment, se compune din culee, pile si radier si trebuie sa corespunda urmatoarelor sarcini:
sa asigure rezemarea stavilelor si amplasarea mecanismelor de actionare;
sa asigure etansarea la partea inferioara si pe maluri;
sa asigure disiparea energiei apei evacuata prin campurile deversante;
sa permita circulatia peste baraj intre cele doua maluri.
2.2.2.1. Radierul barajului
Radierul etanseaza partea inferioara a barajului, atat prin corpul sau, cat si prin elementele de etansare amonte si aval. In situatia cand terenul de fundatie este rezistent si impermeabil (teren stancos), radierul se realizeaza dintr-o placa turnata pe stanca. In situatiile cand stratul impermeabil se gaseste sub cota de fundatie, apar elementele de etansare ale terenului de fundatie pana la stratul impermeabil: pinteni de beton amonte si aval, in care radierul este incastrat sau articulat, palplanse, chesoane, perdele de etansare.
Radierul se dimensioneaza astfel incat sa fie stabil la alunecare. De multe ori, pentru a mari stabilitatea radierului este necesar sa se majoreze forta normala, ceea ce se obtine prin prelungirea in amonte a radierului, adica prin marirea greutatii apei ce incarca radierul. Latimea radierului, transversal albiei, rezulta din conditiile impuse de latimea necesara a frontului deversant, astfel incat debitul specific pe metru liniar sa nu fie foarte mare.
Grosimea radierului este mai mare (l-4m) atunci cand este realizat din beton simplu si de grosime mai redusa (l-2m), in cazul realizarii din beton armat. Radierul devine mai gros la stavilele de tip coborator, care necesita miscari in radier. Din punct de vedere statistic, radierele pot fi elemente independente, separate de pile, sau elemente legate de pile, alcatuind impreuna un ansamblu constructiv.

Fig.3 Sectiune baraj Sebes
2.2.2.2. Disipatorul de energie
Acesta se dimensioneaza pe baza debitului specific si se verifica prin incercari pe modele de laborator. Pentru legatura barajului cu patul raului, de multe ori se foloseste o rizberma realizata din blocuri de piatra si beton, pe o lungime care poate atinge 10- 20 m. in situatiile in care viteza apei peste radier este mai mare (peste 4-5 m/s) si apa transporta aluviuni cu o mare putere de eroziune, se iau masuri de protejare prin turnarea unui strat
de beton de uzura ( cu dozaj de ciment mai ridicat si cu agregate mai rezistente) de 0,3 -0,5 m. Forma radierului se determina pe model incat el sa urmareasca cat mai bine forma liniilor de curent.
Disipatorul de energie, cu doua trepte de disipare amplasat aval de baraj, s-a dimensionat conform calculelor hidraulice.
Prima treapta a disipatorului are cota radierului 252,50 mdMN si lungimea de 22,00 m, iar treapta a doua are cota radierului 250,00 mdMN si lungimea de 36,00 m.
Radierul disipatorului se executa din beton cu 240 kg ciment/mc. Ultimul strat, de 30 cm grosime, de la suprafata radierului, precum si dintii si pragurile se executa din beton de uzura armat cu dozaj de 425 kg ciment/mc.
Disipatorul de energie se continua cu rizberma din blocuri de beton (L = 15,00 m), pe zona careia se consuma o parte insemnata din energia reziduala. Taluzul de racord (panta 1 :2, Lorizontal = 12,60 m) cu albia se protejeaza in continuare, cu placi de rizberma (blocuri de beton) pe o lungime de inca 15,00 m. Dupa iesirea la cota albiei (cca. 257,40 mdMN), se protejeaza cu placi, impotriva eroziunii, zonele de la baza taluzelor pereate.
2.2.2.3. Pile si culee

Pilele sunt elemente verticale care separa deschiderile deversoare. Pilele de margine se numesc culee. Pilele si culeele au rolul de a sustine stavilele, de a prelua sarcinile transmise de acestea, de a sustine mecanismele de manevrare a stavilelor si podul care traverseaza barajul. Sectiunea transversala si inaltimea pilelor se determina pe considerente functionale si constructive. Forma pilelor in sectiune transversala trebuie foarte atent studiata. O forma nehidraulica creaza desprinderi ale firelor de curent de suprafata pilei, producand contractie mai mare si vartejuri, ceea ce micsoreaza coeficientul de debit al deversorului. De asemenea trebuie prevazute nise pentru batardouri. De aceea, pentru a obtine o forma hidrodinamica a pilei, aceasta se studiaza prin incercari de laborator. Grosimea pilei variaza functie de tipul de stavila, intre 6-7 m la stavile plane si 3-4 m la cele segment. Se mai tine seama de gabaritele si greutatea mecanismelor de ridicare a stavilelor, precum si de greutatea drumului de acces care traverseaza barajul.
Este incastrata in radierul general al deversorului si are cota superioara la 275,00 mdMN .In culeea mal stang sunt amplasate priza energetica si camera mecanismelor.
Pe intradosul culeei sunt prevazute golurile de montaj pentru ghidajele batardoului si vanei . La cota 259.05 mdMN se afla consola pentru prinderea articulatiei vanei segment.
Culeea mal drept
Latimea culeei mal drept variaza intre 3.00 m in zona frontala pana la 3.50 m in zona centrala pana la zona de racord cu disipatorul. Ea este incastrata in radierul general al deversorului si are cota superioara la cota 275,00 mdMN. La intradosul culeei sunt prevazute aceleasi goluri de montaj si nise ca si pe culeea stanga. La cota 259.05 se afla consola pentru prinderea articulatiei vanei segment.
In culeea mal drept este amplasata priza pentru conducta de alimentarea cu apa a utilitatilor orasului Sebes.
Pilele au o latime de 2,50 m si sunt simetrice fata de un plan vertical amonte - aval si identice ca forma.
Pilele prezinta pe fetele laterale goluri de montaj pentru ghidajele batardoului si a vanelor segment deasemenea prezinta sismetric pe cele doua fete la cota 259.05 mdMN consolele pentru prinderea articulatiei vanei segment.
2.2.2.4. Ansamblul pile-radier
Ansamblul pile-radier se concepe in functie de natura terenului de fundatie (stancos, aluvionar), tipul de stavile si deschiderile adoptate. La alegerea sistemului pentru amplasamentul respectiv, trebuie avute in vedere efectele fenomenelor de contractie si ale tasarilor inegale care pot conduce la fisurari si la blocarea stavilelor. Ansamblul pile-radier se realizeaza din punct de vedere constructiv in trei sisteme: radier general, pile independente, cuve.
2.2.3. Elemente privind partea mobila
Partea mobila, alcatuita din stavile, constituie partea cea mai importanta a unui baraj mobil, reprezentand uneori 75% din deschiderea totala a barajului.
Stavilele sunt elemente mobile care permit inchiderea sau deschiderea, partiala sau totala, a campurilor deversante, cu scopul de a regla nivelurile si debitele in bieful amonte si in cel aval.
2.2.3.1. Clasificarea stavilelor
Stavilele se pot clasifica dupa mai multe criterii:
Dupa forma lor se deosebesc:
stavile plane
stavile segment

stavile cilindrice
stavile sector
stavile clapeta
stavile ferme hidraulice
alte tipuri mai putin uzuale
Dupa modul de transmitere a presiunii apei, se intalnesc:
stavile care transmit presiunea apei pilelor si culeelor (plane, segment, cilindrice, batardouri)
stavile care transmit presiunea apei radierului (sector, clapete, ferme hidraulice)
stavile care transmit presiunea apei pilelor si radierului (plane, clapete rotative, stavile plutitoare)
Dupa sensul miscarii lor se deosebesc:
stavile ridicatoare (plane, segment, cilindrice)
stavile coboratoare (sector, clapeta, ferme hidraulice)
stavile mixte, alcatuite din doua elemente mobile: cel superior coborator, iar cel inferior ridicator (stavile plane duble, stavile prevazute cu clapeta).
Dupa modul de actionare stavilele pot fi:
actionate manual (stavile plane de lemn sau metalice, de dimensiuni mici)
actionate mecanic (orice tip de stavila)
actionate hidraulic (sector, clapeta, ferme hidraulice)
Dupa materialul din care sunt construite, se deosebesc:
stavile metalice (din otel), care sunt cele mai raspandite;
stavile din lemn care se aplica la deschideri si inaltimi reduse
stavile de beton armat, rar aplicate din cauza greutatii lor mari

Fig Tipuri de stavile a) stavila plana; b) stavila plana dubla-carlig; c) stavila plana cu clapeta; d) stavila segment; e) stavila segment cu clapeta; f) stavila segment dubla; g) stavila cilindrica; h)stavila cilindrica mixta; i) stavila cilindrica cu clapeta; j) stavila sector plutitoare; l)stavila sector inecata; m) stavila tambur; n) stavila clapeta; o) stavila clapeta-burta de peste; p) stavila clapeta casetata; r) stavila acoperis; s) stavila capcana de urs.
2.2.3.2. Conditii de functionare a stavilelor
Stavilele trebuie sa aiba o functionare perfecta atat in conditiile normale de exploatare cat si in conditiile speciale.
Reglarea nivelului apei, ca si descarcarea apelor mari, se face prin deschideri de diferite grade ale stavilelor.
Pentru a raspunde mai bine cerintelor, se folosesc stavile compuse din doua elemente, care se pot misca independent. Astfel, exista stavile duble, plane sau segment, la care apa poate curge peste stavila, pe sub stavila sau concomitent peste si pe sub aceasta. La stavilele ridicatoare s-au aplicat clapete care permit o reglare fina a nivelului si evacuarea plutitorilor.
Evacuarea ghetarilor si plutitorilor se realizeaza mai comod la stavilele coboratoare. La stavilele ridicatoare, fiind necesara ridicarea completa a acesteia, se produc pierderi mari de apa.
Evacuarea aluviunilor si a corpurilor tarate pe fund se face mai usor la stavilele ridicatoare, care in acest scop pot fi deschise partial. Manevrarea si inchiderea stavilelor coboratoare poate fi ingreunata de patrunderea aluviunilor sau a unor flotori in nisele din radier sau pile. De aceea , astfel de stavile trebuie folosite in special la barajele cu praguri inalte.
Stavilele trebuie sa asigure si o buna etansare pe intreg conturul (contactul cu radierul si pilele sau culeele ), ceea ce se realizeaza prin alegerea unui sistem de etansare simplu, rezistent, usor de inlocuit, care sa nu fie afectat de variatiile de temperatura si umiditate.
In exploatare, stavilele trebuie controlate periodic si reparate atunci cand este cazul. in timpul reviziilor sau reparatiilor se asigura protejarea, atat spre bieful amonte, cat si spre cel aval, cu ajutorul unor batardouri (stavile de reparatie, formate de regula din mai multe elemente, care nu pot fi utilizate in regim dinamic). Elementele de batardou, in general metalice, sunt depozitate pe coronamentul barajului si sunt lansate in nisele de batardou, cu ajutorul unor macarale special prevazute.
Manevrarea stavilelor se face de regula prin actionarea cu motoare electrice. Pentru situatiile in care alimentarea cu energie electrica este intrerupta, se recomanda sa se prevada un al doilea sistem de manevrare: manual, mai lent si deci mai putin prompt, in cazul unor baraje mai mici, sau o alta sursa de energie termica, cu sistemul corespunzator de actionare, la barajele mai importante. In cazul barajelor situate in zone izolate, fara personal de exploatare, este recomandata folosirea stavilelor rapide, cu functionare automata.
Pentru functionarea pe timp de iarna, in scopul inlaturarii pericolului de blocare a stavilelor prin inghetare, se iau masuri speciale cum ar fi incalzirea stavilelor, spargerea ghetii, agitarea apei cu aer comprimat in amonte de stavila, si altele.
In timpul exploatarii, echipamentul mecanic al barajelor mobile sufera o serie de deteriorari, ruginirea elementelor metalice, degradarea datorita uzurii produse de aluviuni si gheturi, coroziunea datorata vacuumului, slabirea imbinarilor datorita vibratiilor, etc. De aceea functionarea stavilelor trebuie verificata periodic, iar defectiunile constatate trebuie inlaturate de urgenta. De asemenea, se inlocuiesc piesele uzate, se vopsesc partile metalice, se curata si se ung periodic elementele rotitoare ale mecanismelor.
|